De hotspot onder Hawaï heeft zich rond 50 miljoen jaar geleden tientallen kilometers verplaatst. En dat is een ongebruikelijke manoeuvre, voor een hotspot.
De hotspot van Hawaï is anders dan de anderen. Van ongeveer 60 tot 47 miljoen jaar geleden verplaatste hij zich tientallen kilometers naar het zuiden. En dat terwijl aardwetenschappers er doorgaans van uitgaan dat hotspots – extra hete plekken in de aardmantel – min of meer op hun plek blijven liggen.
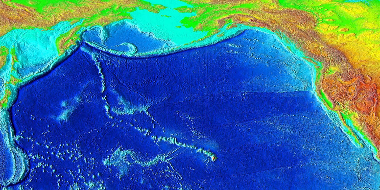
Vulkaanketens
Op sommige plekken in de diepe aarde is de temperatuur nóg hoger dan in het omringende gesteente. Hotspots heten deze locaties. Ze zijn te herkennen aan vulkaanketens aan het aardoppervlak: het gloeiend hete, vloeibare gesteente baant zich als ‘mantelpluim’ een weg omhoog door de aardmantel en de korst, en breekt uiteindelijk als vulkaanuitbarsting door het aardoppervlak heen.
Omdat de hotspot normaal gesproken op zijn plek blijft liggen en de aardplaten bewegen, vormt zich zo een serie vulkanen op een rijtje, netjes gerangschikt van oud naar jong. Uit de oriëntatie en ouderdom van vulkaanketens is dan dus af te leiden hoe de plaat bewogen heeft.
Maar de hotspot van Hawaï, op de Pacifische aardschol, ging zélf aan de wandel, blijkt uit steeds meer gegevens. Een nieuwe publicatie in Nature Communications kwam afgelopen maand met extra bewijs voor dit scenario.

Het magma baant zich een weg omhoog, en breekt dan door het aardoppervlak heen.
Hawaii Volcano Observatory (DAS), Public Domain, USGS, vua Wikimedia CommonsKnik
Hawaï is het jongste eiland van de Hawaï-Emperor-vulkaanketen. Deze keten vertoont ongeveer halverwege, waar de vulkanen zo’n 47 miljoen jaar oud zijn, een opmerkelijke knik. Het spoor dat door de hotspot door de korst heen werd getrokken, veranderde toen plotseling van richting.
Dat kwam niet omdat de plaat opeens een bocht nam, maar omdat de hotspot voordat de knik ontstond ook zelf aan het verschuiven was, concludeerden onderzoekers al eerder: Het bleek onder meer uit de verandering van richting van het ingevangen magneetveld in de gestolde lava.
Twee jaar geleden stelden onderzoekers vast dat de Hawaï-hotspot en de Louisville-hotspot, die ook onder de Pacifische Plaat ligt maar dan verder naar het zuiden, lang geleden ten opzichte van elkaar zijn verschoven. Als beide hotspots stil lagen, verwacht je dat de sporen gelijk georiënteerd zijn – zoals de krassen op je auto als je te dicht langs het struikgewas rijdt. De vulkaanketens van deze twee hotpots gingen tot zo’n 50 miljoen jaar geleden echter verschillende kanten op. Pas daarna bewogen beide ketens in dezelfde richting.
Rurutu
De publicatie van afgelopen maand voegt een derde, voorheen onbekende hotspot toe aan het verhaal (de Rurutu-hotspot), waardoor nu conclusies over absolute bewegingen mogelijk zijn. Het is de Hawaï-hotspot die bewoog, de andere twee bleven min of meer op hun plek liggen, concluderen de geologen.
Het is goed onderzoek dat een belangrijke bijdrage levert aan het verhaal, zegt John O’Connor, aardwetenschapper aan de Vrije Universiteit Amsterdam, die gespecialiseerd is in hotspots en zelf niet betrokken was bij dit project. “Dat de hotspot onder Hawaï zich verplaatst heeft was al bekend, maar deze geologen leveren extra bewijs en komen met gedetaileerdere reconstructies dan we tot nu toe hadden.”

